琪花異草
﹝回首頁﹞
============= 榆科
櫸 (Zelkova serrata、櫸樹、台灣榆、櫸榆、雞油) =============
(原生種;原生於台灣、日本至中國大陸一帶;台灣物種名錄標名櫸,別名欅樹、台灣榆、欅榆、雞油;落葉喬木;單葉互生,卵形至卵狀披針形,鋸齒緣,羽狀脈,葉基略微歪斜,兩列互生於枝條上;具托葉,線形,早落;雌雄同株,花朵單性或雜性;雌花序近枝端,單生於葉腋;雄花序位於雌花序下方,單生或簇生於葉腋;雌花柱頭2裂,羽毛狀,白色;核果歪斜,略皺狀)
![]() 上面照片:陳維琪拍攝 |
![]() 上面照片:小花老師拍攝於台北植物園 (雌雄同株,花朵單性或雜性;雌花序近枝端,單生於葉腋;雄花序位於雌花序下方,單生或簇生於葉腋;雌花柱頭2裂,羽毛狀,白色) |
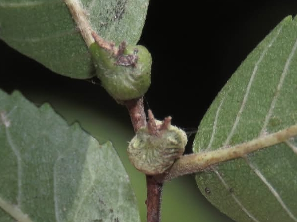
![]() 上面照片:小花老師拍攝於台北植物園 (核果歪斜,略皺狀) |
![]() 上面照片:小花老師拍攝於台北植物園 |
![]() 上面照片:小花老師拍攝於台北植物園 |
![]() 上面照片:小花老師拍攝於台北植物園 |
![]() 上面照片:小花老師拍攝於台北植物園 |
![]() 上面照片:陳維琪拍攝 |
![]() 上面照片:陳維琪拍攝 (單葉互生,卵形至卵狀披針形,鋸齒緣,羽狀脈,葉基略微歪斜,兩列互生於枝條上) |
![]() 上面照片:蟹老闆拍攝於新北市安和國小 |
![]() 上面照片:陳維琪拍攝 |
![]() 上面照片:陳維琪拍攝 |
![]() 上面照片:陳維琪拍攝 |
![]() 上面照片:陳維琪拍攝 |
![]() 上面照片:20210708 陳維琪拍攝於台南市 |