琪花異草
﹝回首頁﹞
============= 葉下珠科
細葉饅頭果 (Glochidion rubrum) =============
(原生種;小喬木或灌木;單葉互生,橢圓形(或長橢圓形),全緣;花序不具總梗,簇生葉腋,雌雄異花,不具花瓣;雄花花梗細長,花被片6枚,2輪,平展,橢圓形,白色;雌花花梗短小,花萼包覆,柱頭成筒狀,外伸;蒴果扁球形,瓣狀,光滑無毛,柱頭宿存;成熟瓣裂,種子紅色)
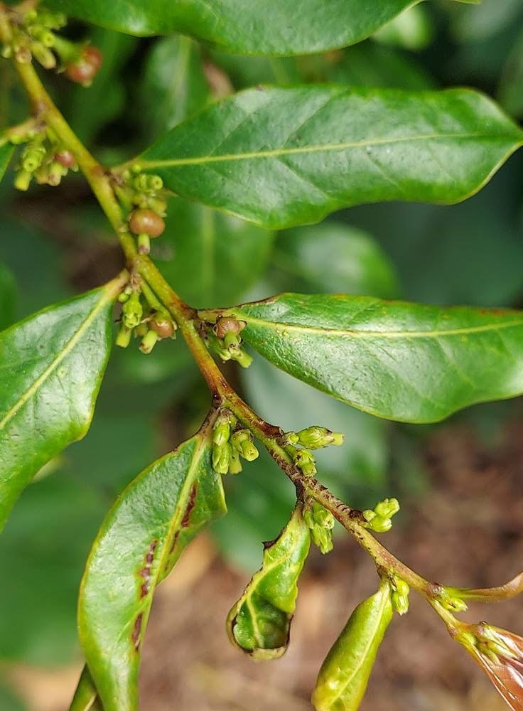
![]() 上面照片:陳維琪拍攝 (雌花和果實;花序不具總梗,簇生葉腋,雌雄異花,不具花瓣;雌花花梗短小,花萼包覆,柱頭成筒狀,外伸;蒴果扁球形,瓣狀,光滑無毛,柱頭宿存;成熟瓣裂,種子紅色) |
![]() 上面照片:江亮亮拍攝 (雄花和果實) |
![]() 上面照片:陳維琪拍攝 (蒴果扁球形,瓣狀,光滑無毛,柱頭宿存) (花果並存) |
![]() 上面照片:小花老帥拍攝 (雄花花梗細長,花被片6枚,2輪,平展,橢圓形,白色) |
![]() 上面照片:小花老帥拍攝 (花序不具總梗,簇生葉腋,雌雄異花,不具花瓣;雄花花梗細長,花被片6枚,2輪,平展,橢圓形,白色;雌花花梗短小,花萼包覆,柱頭成筒狀,外伸) |
![]() 上面照片:小花老帥拍攝 (花序不具總梗,簇生葉腋,雌雄異花,不具花瓣;雌花花梗短小,花萼包覆,柱頭成筒狀,外伸) |
![]() 上面照片:小花老帥拍攝 (單葉互生,橢圓形(或長橢圓形),像榕樹葉,全緣) |
![]() 上面照片:小花老帥拍攝 (單葉互生,橢圓形(或長橢圓形),像榕樹葉,全緣) |
![]() 上面照片:陳維琪拍攝 (雌花和雄花) |
![]() 上面照片:陳維琪拍攝 (雄花和果實) |
![]() 上面照片:陳維琪拍攝 |
![]() 上面照片:陳維琪拍攝 |
![]() 上面照片:陳維琪拍攝 |
![]() 上面照片:陳維琪拍攝 |
![]() 上面照片:江亮亮拍攝 |
![]() 上面照片:陳維琪拍攝 |
![]() 上面照片:陳維琪拍攝 |
![]() 上面照片:陳維琪拍攝 |
![]() 上面照片:陳維琪拍攝 |
![]() 上面照片:陳維琪拍攝 |
![]() 上面照片:陳維琪拍攝 |
![]() 上面照片:陳維琪拍攝 |
![]() 上面照片:陳維琪拍攝 |
![]() 上面照片:陳維琪拍攝 |
![]() 上面照片:陳維琪拍攝 |
![]() 上面照片:陳維琪拍攝 |
![]() 上面照片:陳維琪拍攝 |
![]() 上面照片:陳維琪拍攝 |
![]() 上面照片:陳維琪拍攝 |
![]() 上面照片:陳維琪拍攝 |
![]() 上面照片:陳維琪拍攝 |