琪
花
異
草
﹝
回首頁
﹞
=============
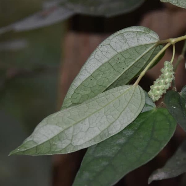
胡椒科
台灣荖藤 (Piper taiwanense)
=============
上面照片:沈揮勝拍攝
上面照片:沈揮勝拍攝
上面照片:沈揮勝拍攝