琪花異草
﹝回首頁﹞
本網頁由陳維琪、江亮亮、羅婕美、潘玉郎、張儷蓁、小花老師、鄭演義、沈揮勝、陳思翰和蟹老闆共同製作
============= 殼斗科 (山毛櫸科) 〉櫟屬 =============
| 相似植物 |
殼斗目 〉殼斗科
(山毛櫸科)〉櫟屬
(Quercus) ==台灣原生種== ●青剛櫟(Quercus glauca、uercus glauca var. kuyuensis、Quercus globosa、Quercus repandifolia、Quercus glauca var. glauca) (原生種;Quercus glauca 原生於台灣、日本至中南半島;世界植物在線 POWO 標示 Quercus globosa = Quercus glauca var. kuyuensis = Quercus repandifolia = Quercus glauca;皆為有效學名,附有照片(含有變種照片);台灣物種名錄將 Quercus glauca 標名青剛櫟,將 Quercus glauca var. kuyuensis 標名谷園青剛櫟,將 Quercus globosa 標名圓果青剛櫟,將 Quercus globosa fo. chiapautaiensis 標名佳保台圓果青剛櫟,將 Quercus repandifolia 標名波葉櫟,但國際已將幾個學名處理為同一種(本網頁將圓果青剛櫟暫以「圓果型-青剛櫟」標註,以作區分);常綠中型喬木,樹高可達20公尺;單葉互生,長橢圓形至狹長橢圓形,鋸齒緣,葉背灰白色,葉柄長1~3公分;雌雄同株異序,雄花序呈葇荑花狀,腋生;雌花序生於枝端葉腋,花序較短,一梗有花2~4朵;殼斗碗形,堅果卵形至橢圓形,表面光滑;為台灣黑熊的主要食物來源,但味道苦澀不為人所食用) •嶺南青剛櫟(Quercus championii、嶺南椆) (原生種;原生於台灣和中國大陸;世界植物在線 POWO 附有照片;喬木;高度可達20公尺以上;單葉互生,倒長卵形至長橢圓形,革質,葉背銀灰色;小枝密被灰褐色星狀绒毛;殼斗碗形具同心環带,堅果卵形,果臍平) ●狹葉櫟(Quercus stenophylloides、白背椆、狹葉高山櫟、台灣窄葉青剛) (台灣特有種;世界植物在線標示僅產於台灣,附有照片;台灣物種名錄標名狹葉櫟;與白背櫟型態相近;喬木;單葉螺旋狀互生,長卵形、長橢圓形至披針形,先端漸尖,銳鋸齒緣,下表面常呈灰白和被毛;單性花,雌雄同株;殼斗被絨毛) |
●錐果櫟(Quercus longinux、Quercus longinux var. longinux、Quercus longinux var. kuoi、Cyclobalanopsis longinux var. lativiolaceifolia、錐果椆、稠子)
(台灣特有種;世界植物在線標示 Quercus longinux var. kuoi = Cyclobalanopsis longinux var. lativiolaceifolia = Quercus longinux,皆為有效學名;台灣物種名錄將 Quercus longinux var. kuoi 標名郭氏錐果櫟,將 Quercus longinux var. lativiolacifolia 標名紫背錐果櫟) ●灰背櫟(Quercus hypophaea、灰背椆) (台灣特有種;世界植物在線標示僅產於台灣,附有照片) ●白背櫟(Quercus salicina) (原生種;世界植物在線 POWO 標示原生於日本和高麗半島(不含台灣),附有照片;喬木;單葉互生,長卵形至狹長橢圓形,銳鋸齒緣至全緣,葉背灰白色;單性花,雌雄同株;殼斗杯狀,密被灰褐色毛) ●大槲樹(Quercus aliena、Quercus aliena var. aliena、槲櫟) (原生種;原生於日本至中南半島一帶;台灣紅皮書標示極危;台灣物種名錄標名大槲樹;維基百科標名槲櫟) •孛孛櫟(Quercus aliena var. acutiserrata) (原生種;世界植物在線標示原生於日本、高麗半島和中國大陸(不含台灣);台灣物種名錄標示為原生種) ●栓皮櫟(Quercus variabilis) (原生種;原生於台灣、日本、高麗半島、中國大陸和越南) ●高山櫟(Quercus spinosa) (原生種;原生於台灣、中國大陸和緬甸) •銳葉高山櫟(Quercus tatakaensis、塔塔加櫟、塔塔加高山櫟) (台灣特有種;世界植物在線標示僅產於台灣,附有照片) ●捲斗櫟(Quercus pachyloma、金斗椆) (原生種;原生於台灣和中國大陸) •毽子櫟(Quercus sessilifolia、毽子椆) (原生種;原生於台灣、日本、中國大陸和泰國) |
●太魯閣櫟(Quercus tarokoensis)
(台灣特有種;世界植物在線標示僅產於台灣,附有照片;常綠喬木;單葉互生,橢圓形,鋸齒緣,先端銳尖;殼斗杯形,堅果先端具小尖頭) ●赤皮(Quercus gilva、赤皮金剛、赤皮櫟、赤皮椆、石櫧) (原生種;原生於台灣、日本、高麗半島和中國大陸;台灣物種名錄標名赤皮,別名石櫧、赤柯、赤皮椆;維基百科標名赤皮金剛) •赤柯(Quercus morii、森氏櫟) (台灣特有種;世界植物在線標示僅產於台灣,附有照片) •思茅儲櫟(Quercus serrata、Quercus glandulifera var. brevipetiolata、青栲櫟) (原生種;原生於台灣、日本、高麗半島、中國大陸和孟加拉;世界植物在線標示 Quercus glandulifera var. brevipetiolata = Quercus serrata,皆為有效學名) ==非台灣原生種== •麻櫟(Quercus acutissima) (歸化種) •黑櫟(Quercus myrsinifolia) (歸化種;原生於日本至中南半島;世界植物在線將台灣標示為歸化地區;台灣物種名錄標示為原生種) •槲樹(Quercus dentata) (歸化種) ●夏櫟(Quercus robur、歐洲有柄橡木、長柄櫟、夏橡、歐洲白櫟、英國櫟、英國橡) •姥芽櫟(Quercus phillyrioides、烏崗櫟) (栽培種) •西班牙栓皮櫟(Quercus suber) (栽培種) |
|
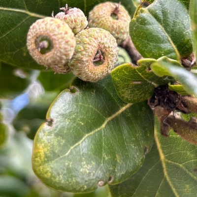
| 青剛櫟 |
![]() |
![]() |
![]() |
殼斗科櫟屬 更多照片: 20220911_01 照片1:小花老師拍攝 照片2:林美燕拍攝 照片3:潘玉郎拍攝 照片1:雄花序和雄花(不具雌蕊) |
| 同上 青剛櫟 |
![]() |
![]() |
![]() |
殼斗科櫟屬 更多照片: 20220911_01 照片:林美燕拍攝 照片1:發現長穗狀的兩性花花序(一般雌花短穗狀,有花2~4朵) 照片2:發現成串的連體果實 |
| 同上 青剛櫟 |
![]() |
![]() |
![]() |
殼斗科櫟屬 更多照片: 20220911_01 照片:沈揮勝拍攝 |
| 圓果型 青剛櫟 |
![]() |
![]() |
![]() |
殼斗科櫟屬 更多照片: 20250326_01 照片1、3:潘玉郎拍攝 照片2:沈揮勝拍攝 |
| 狹葉櫟 |
![]() |
![]() |
![]() |
殼斗科櫟屬 更多照片: 20251205_04 照片:沈揮勝拍攝 |
| 白背櫟 |
![]() |
![]() |
![]() |
殼斗科櫟屬 更多照片: 20231122_01 照片1、2:陳思翰採集,蟹老闆拍攝 |
| 太魯閣櫟 |
![]() |
![]() |
![]() |
殼斗科櫟屬 更多照片: 20251129_02 照片:沈揮勝拍攝 |
| 大槲樹 、槲櫟 |
![]() |
![]() |
![]() |
殼斗科櫟屬 更多照片: 20251205_03 照片:沈揮勝拍攝 |
| 栓皮櫟 |
![]() |
![]() |
![]() |
殼斗科櫟屬 更多照片: 20230722_01 照片:鄭演義拍攝 |
| 高山櫟 |
![]() |
![]() |
![]() |
殼斗科櫟屬 更多照片: 20250910_01 照片:Ramar Kao 拍攝 |
| 捲斗櫟 |
![]() |
![]() |
![]() |
殼斗科櫟屬 更多照片: 20231220_02 照片:陳思翰拍攝 |
| 灰背櫟 |
![]() |
![]() |
![]() |
殼斗科櫟屬 更多照片: 20250911_03 照片:沈揮勝拍攝 |
| 同上 灰背櫟 |
![]() |
![]() |
![]() |
殼斗科櫟屬 更多照片: 20250911_03 照片:沈揮勝拍攝 |
| 錐果櫟 |
![]() |
![]() |
![]() |
殼斗科櫟屬 更多照片: 20231122_03 照片:陳思翰採集,蟹老闆拍攝 |
| 赤皮 |
![]() |
![]() |
![]() |
殼斗科櫟屬 更多照片: 20231122_02 照片:陳思翰採集,蟹老闆拍攝 |
| 夏櫟 、 英國櫟 |
![]() |
![]() |
![]() |
殼斗科櫟屬 更多照片: 20231029_01 照片:蟹老闆拍攝 |
| 殼斗科 |
![]() |
![]() |
![]() |
殼斗科 更多照片: 20240124_02 照片:陳思翰採集,蟹老闆拍攝 |
| 同上 殼斗科 |
![]() |
![]() |
![]() |
殼斗科 更多照片: 20240124_02 照片:陳思翰採集,蟹老闆拍攝 |