琪花異草
﹝回首頁﹞
本網頁由陳維琪、江亮亮、羅婕美、潘玉郎、張儷蓁、周佩玉、小花老師、廖金枝和蟹老闆共同製作
============= 葉下珠科 =============
(本頁不含:油柑屬、山漆莖屬、饅頭果屬、五月茶屬)
| 相似植物 |
黃褥花目
(Malpighiales、金虎尾目)
〉葉下珠科 〉白飯樹屬
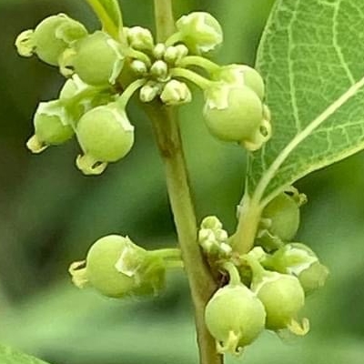
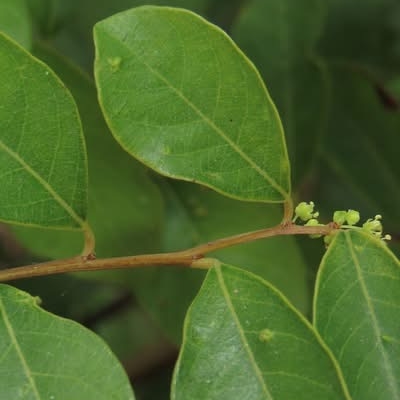
(Flueggea) ==台灣原生種== ●白飯樹(Flueggea suffruticosa、市蔥) (原生種;果實並非白色,成熟會裂開) |
●密花白飯樹(Flueggea virosa) (原生種;灌木;單葉互生,倒卵形至倒長卵形;雌雄異株,單性花;小花簇生葉腋,未必比白飯樹密;果實兩型,漿果較大,白色;蒴果較小,綠色) | ||
| 雌株 密花白飯樹 |
![]() |
![]() |
![]() |
葉下珠科白飯樹屬 更多照片: 20220624_07 照片1:張儷蓁拍攝 照片2:陳維琪拍攝 照片3:小花老師拍攝 |
| 同上 雌株 密花白飯樹 |
![]() |
![]() |
![]() |
葉下珠科白飯樹屬 更多照片: 20220624_07 照片1:張儷蓁拍攝 照片2、3:陳維琪拍攝 照片1:雌株和雌花,無雄蕊 |
| 雄株 密花白飯樹 |
![]() |
![]() |
![]() |
葉下珠科白飯樹屬 更多照片: 20220624_07 照片1、2:小花老師拍攝 照片3:陳維琪拍攝 |
| 白飯樹 |
![]() |
![]() |
![]() |
葉下珠科白飯樹屬 更多照片: 20210420_01 照片:陳維琪拍攝 |
|
黃褥花目
(Malpighiales、金虎尾目)
〉葉下珠科 〉重陽木屬
(Bischofia) ==台灣原生種== ●茄冬(Bischofia javanica、茄苳、加冬) (原生種;喬木;雌雄異珠;三出複葉,互生,具長柄,幼苗初生單葉;無花瓣,雄花花萼5枚,雌花花柱3~4枚) |
||||
| 茄苳 |
![]() |
![]() |
![]() |
葉下珠科重陽木屬 更多照片: 20210401_02 照片1:小花老師拍攝 照片2:蟹老闆拍攝於新北市安和國小 (幼株) 照片3:陳維琪拍攝 照片1:雄株的雄花 |
| 同上 茄苳 |
![]() |
![]() |
![]() |
葉下珠科重陽木屬 更多照片: 20210401_02 照片:陳維琪拍攝 照片1:雌株的雌花 |
| 同上 茄苳 |
![]() |
![]() |
![]() |
葉下珠科重陽木屬 更多照片: 20210401_02 照片:陳維琪拍攝 |
| 相似植物 |
黃褥花目
(Malpighiales、金虎尾目)
〉葉下珠科 〉土密樹屬 ==台灣原生種== ●刺杜密(Bridelia balansae、刺楠) (原生種;台灣物種名錄附有照片;小喬木;莖幹散生短刺;單葉互生,長橢圓形至長橢圓狀披針形,全緣,葉背灰綠;雌雄同株異花;花朵簇生於腋生,先開雌花,後開雄花;花瓣5枚,較萼片小;核果卵形,成熟紫黑色) ●土密樹(Bridelia tomentosa) (原生種) |
|||
| 刺杜密 |
![]() |
![]() |
![]() |
葉下珠科土密樹屬 更多照片: 20241224_01 照片1:小花老師拍攝於台北市內雙溪 照片1、3:雄花 |
| 同上 刺杜密 |
![]() |
![]() |
![]() |
葉下珠科土密樹屬 更多照片: 20241224_01 照片1、3:小花老師拍攝於台北植物園 照片2:林美燕拍攝 照片1:雌花 照片3:雄花 |
| 同上 刺杜密 |
![]() |
![]() |
![]() |
葉下珠科土密樹屬 更多照片: 20241224_01 照片:林美燕拍攝 照片1:雄花 照片2:雌花 |
| 土密樹 |
![]() |
![]() |
![]() |
葉下珠科土密樹屬 更多照片: 20210724_05 照片:陳維琪拍攝 |
| 相似植物 |
黃褥花目
(Malpighiales、金虎尾目)
〉葉下珠科 〉紫黃屬
(Margaritaria) ==台灣原生種== ●紫黃(Margaritaria indica) (原生種;原生於台灣、中國大陸至印度和澳洲東北部一帶;台灣物種名錄標名紫黃;台灣紅皮書標示易危;喬木;樹幹通直,樹皮紅褐色;單葉互生,橢圓形至長橢圓形,全緣;雌雄異株;雄花數十朵叢生於葉腋,具長柄,花被片4枚,雄蕊4枚;雌花則1~3朵生於葉腋,柱頭5叉;蒴果扁球形,三瓣狀;種子1/3瓣圓形,成熟深藍紫色) |
|||
| 紫黃 |
![]() |
![]() |
![]() |
葉下珠科紫黃屬 更多照片: 20260403_01 照片:周佩玉拍攝於高雄 照片1:雌花 |
| 同上 紫黃 |
![]() |
![]() |
![]() |
葉下珠科紫黃屬 更多照片: 20260403_01 照片:周佩玉拍攝於高雄 照片1:雌花 |
| 同上 紫黃 |
![]() |
![]() |
![]() |
葉下珠科紫黃屬 更多照片: 20260403_01 照片:周佩玉拍攝於高雄 照片:雄花 照片2:發現螳螂 |
| 同上 紫黃 |
![]() |
![]() |
![]() |
葉下珠科紫黃屬 更多照片: 20260403_01 照片:小花老師拍攝於台北植物園 照片1、2:雄花 |