琪花異草
﹝回首頁﹞
本網頁由陳維琪、江亮亮、羅婕美、潘玉郎、張儷蓁、周佩玉、小花老師和蟹老闆共同製作
============= 榆科 =============
| 相似植物 |
薔薇目 〉榆科 〉榆屬
(Ulmus) ==台灣原生種== ●榔榆(Ulmus parvifolia、紅雞油、小葉榆) (原生種;原生於台灣、日本、高麗半島、中國大陸和越南;台灣物種名錄標名紅雞油,別名榔榆,附有照片;維基百科標名榔榆,別名榆欅;落葉或半落葉喬木;樹皮或呈不規則鱗片狀脫落;小枝細長,幼枝具柔毛;單葉互生,卵形、長卵形至長橢圓形,鋸齒緣;雌雄同株異花,簇生於葉腋,或排成聚傘花序;花朵小型,不具花瓣;雄花雄蕊3~8枚;雌花柱頭2叉,毛刷狀;翅果倒卵形,扁平狀) •阿里山榆(Ulmus uyematsui) (台灣特有種) |
==非台灣原生種== ●榆樹(Ulmus pumila、錢榆、白榆、西伯利亞榆、家榆) (國外拍攝) •美國榆(Ulmus americana) (栽培種) 薔薇目 〉榆科 〉Holoptelea 屬 ==非台灣原生種== ●印度榆(Holoptelea integrifolia) (栽培種;原生於印度半島、中南半島及印度婆羅洲;台灣物種名錄20260424查無此學名及中文名;落葉喬木;樹高可達20公尺(或更高);單葉互生,橢圓形,全緣;總狀花序,腋生或頂生;花朵甚小,單性,黃綠色;翅果圓形,扁平狀,直徑約2.5公分) |
|
|
| 榔榆 |
![]() |
![]() |
|
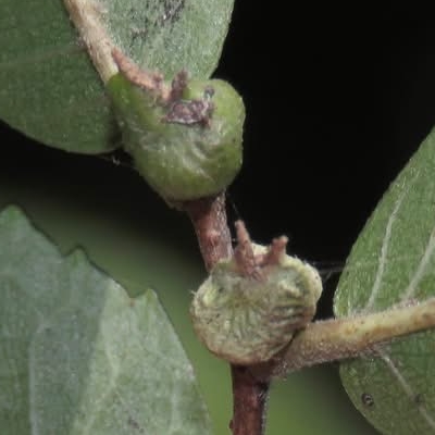
榆科榆屬 更多照片: 20210531_05 照片:周佩玉拍攝 照片1:雄花 |
| 同上 榔榆 |
![]() |
![]() |
|
榆科榆屬 更多照片: 20210531_05 照片1、2:周佩玉拍攝 照片3:陳維琪拍攝 照片1:雌花 |
| 同上 榔榆 |
![]() |
![]() |
|
榆科榆屬 更多照片: 20210531_05 照片:陳維琪拍攝 |
| 榆樹 |
![]() |
![]() |
|
榆科榆屬 更多照片: 20230505_06 照片:Theresa Kao 拍攝於加拿大溫哥華 |
| 印度榆 |
![]() |
![]() |
|
榆科 Holoptelea 屬 更多照片: 20260424_03 照片:小花老師 拍攝於台北植物園 |
|
薔薇目 〉榆科 〉櫸屬
(Zelkova) ==台灣原生種== ●櫸(Zelkova serrata、櫸樹、台灣榆、櫸榆、雞油) (原生種;原生於台灣、日本至中國大陸一帶;台灣物種名錄標名櫸,別名欅樹、台灣榆、欅榆、雞油;落葉喬木;單葉互生,卵形至卵狀披針形,鋸齒緣,羽狀脈,葉基略微歪斜,兩列互生於枝條上;具托葉,線形,早落;雌雄同株,花朵單性或雜性;雌花序近枝端,單生於葉腋;雄花序位於雌花序下方,單生或簇生於葉腋;雌花柱頭2裂,羽毛狀,白色;核果歪斜,略皺狀) |
|
|||
| 櫸 、櫸木 、台灣櫸 |
![]() |
![]() |
|
榆科櫸屬 更多照片: 20210607_01 照片:小花老師拍攝於台北植物園 照片1:左邊雄花,右邊雌花 |
| 同上 櫸 、櫸木 、台灣櫸 |
![]() |
![]() |
|
榆科櫸屬 更多照片: 20210607_01 照片:陳維琪拍攝 |
| 同上 櫸 、櫸木 、台灣櫸 |
![]() |
![]() |
|
榆科櫸屬 更多照片: 20210607_01 照片1、2:陳維琪拍攝 照片3:蟹老闆拍攝於新北市安和國小 |